《山南新区起步区控制性详细规划B10街区 动态维护方案》公示
为加快淮南市山南新区城市建设,适应道路线型改变,优化道路系统,提升居住品质,完善设施配套,淮南市高新技术产业开发区管委会申请编制《山南新区起步区控制性详细规划》B10街区局部地块动态维护,为下一步土地使用和建设管理提供依据。规划于2022年10月19日经市自然资源和规划局组织的专家评审会原则通过,现依法进行公示,市民及相关利害关系人如有异议,请在公示期内向我局反映。
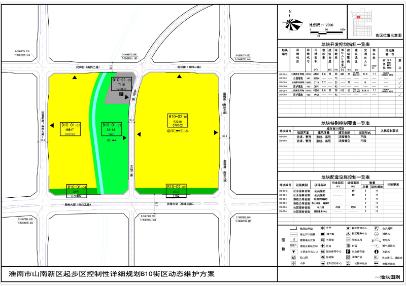
一、规划范围
本次规划街区位于民裕大街北侧,民祥街南侧,迎客松路东侧,国槐路西侧,总用地面积约19.22公顷(合288.3亩)。
二、规划控制
1、土地利用控制
动态维护后:
B10-01-01 地块用地性质为二类居住用地(070102),用地面积约4.88 公顷(73.2亩),容积率≤1.8,建筑密度≤25%,绿地率≥38%;
B10-01-02 地块用地性质为公园绿地(1401),用地面积约3.61公顷(73.2亩);
B10-01-03 地块用地性质为社会停车场用地(120803),用地面积约0.71公顷(10.7 亩),容积率≤0.2,绿地率≥25%;
B10-01-04 地块用地性质为防护绿地(1402),用地面积约0.29公顷(4.4亩);
B10-02-01 地块用地性质为二类居住用地(070102),用地面积约9.22公顷(138.3亩),容积率≤1.8,建筑密度≤25%,绿地率≥38%;
B10-02-02地块用地性质为防护绿地(1402),用地面积约0.49公顷(7.4亩)。
2、建筑退让
地块内建筑退让民裕大街绿线、民祥街、迎客松路、国槐路、支经二路不小于10米,B10-01-01退让东侧公园绿地不小于5米,并满足《淮南市控制性详细规划通则》的相关要求。
组合建筑退让道路红线的距离,按主体建筑退让标准执行,地下建筑不得占压或超过道路红线。
3、机动车出入口
B10-01-01地块在西、北侧设机动车出入口,B10-01-03地块在东侧设机动车出入口,B10-02-01地块在东、西、北侧设机动车出入口。
4、配套设施
地块内依据《淮南市控制性详细规划通则》及相关规范设置配电房、公厕和垃圾收集点等设施;
规划中未列出的其他公服配套设施、地界退让、建筑物间距、日照等相关要求,均应按《城市居住区规划设计标准(GB50180-2018)》、《建筑设计防火规范》(GB50016-2014)、《淮南市控制性详细规划通则》及相关规范执行。
三、公示方式:网上公示
四、公示时间:2022年10月19日至2022年11月18日
五、规划咨询电话:0554-2699114 0554-6639093
六、附图:
1、现状区位

2、规划图则

皖公网安备 34040302000103号